| 管理番号 | ㏏-337 |
|---|---|
| 種別 | |
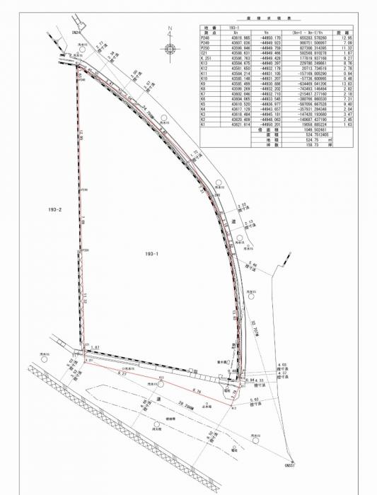
| 所在地 | 鳥栖市田代大官町193-1 |
| 交通アクセス | JR鹿児島本線「田代」駅 徒歩19分 |
| 特記 | 建築条件なしのため、お好きなハウスメーカー・工務店で理想の住まいを実現できます。 |
| 土地面積 | 524.50m2(158.66坪) |
| 地目 | 宅地 |
| 取引態様 | 売主 |
| 建ぺい率 | 60% |
| 容積率 | 200% |
| 総戸数 | 1区画 |
| 学校区 | 田代小学校/田代中学校 |
| 条件等 | ※確定測量・解体・測量渡し |
| 現況 | 建物付 |
| 引渡 | 更地渡し |
| 設備 | ♢上水道・下水道 |
| 担当支店 | 久留米店 |
| 担当者のコメント | 確定測量後のお引渡し、解体更地渡しで安心スタート。敷地524.50u(158.66坪) 建築条件なしのため、お好きなハウスメーカー・工務店で理想の住まいを実現できます。 接道間口も広く、プランの自由度が高い整形地。 周辺は落ち着いた住環境でありながら、生活利便施設も身近に揃う好立地。 「土地からこだわりたい」お客様に自信を持っておすすめできる一画です。 まずはお気軽にお問い合わせください。 |
物件詳細データ
チェックした物件
ご希望の物件お探しします
おうち屋 太宰府店では「太宰府市」「筑紫野市」「筑前町」地区の物件を中心に取り扱っています。
「この地域内で」「予算がいくらで」「こんな物件を探している」などありましたら、お気軽にお問い合わせください。
お客様のご希望にそった物をお探しさせて頂きます。
おうち屋 飯塚店では「飯塚市」地区の物件を中心に取り扱っています。
「この地域内で」「予算がいくらで」「こんな物件を探している」などありましたら、お気軽にお問い合わせください。
お客様のご希望にそった物をお探しさせて頂きます。
おうち屋 久留米店は「小郡市」「基山町」「鳥栖市」「久留米市」地区の物件を中心に取り扱っています。
「この地域内で」「予算がいくらで」「こんな物件を探している」などありましたら、お気軽にお問い合わせください。
お客様のご希望にそった物をお探しさせて頂きます。















